61 - STATION AREA OVERLAY DISTRICT
The purpose and intent of this chapter is to regulate land use and development in a manner that supports transit-oriented development near light rail stations.
(Ord. 120452, § 5, 2001.)
There is hereby established pursuant to Chapter 23.59 of the Seattle Municipal Code, the Station Area Overlay District, as shown on the Official Land Use Map, Chapter 23.32.
(Ord. 120452, § 5, 2001.)
All land located within the Station Area Overlay District is subject to the regulations of the underlying zone unless specifically modified by the provisions of this chapter. In the event of a conflict between the provisions of the Station Area Overlay District and the underlying zone including Pedestrian-Designated Zones, the provisions of this chapter prevail. Where a conflict exists between the provisions of this chapter and the Shoreline Master Program, the provisions of the the Shoreline Master Program prevail.
(Ord. 123020, § 11, 2009; Ord. 122043 § 1, 2006; Ord. 120452, § 5, 2001.)
The following uses are prohibited within an underlying commercial zone as both principal and accessory uses, except as otherwise noted:
A.
Drive-in businesses;
B.
Dry boat storage;
C.
General manufacturing;
D.
Heavy commercial services, except laundry facilities existing as of April 1, 2001;
E.
Sales and rental of large boats;
F.
Vessel repair (major or minor);
G.
Mini-warehouse;
H.
Flexible-use parking garage;
I.
Flexible-use parking surface lot;
J.
Outdoor storage;
K.
Heavy commercial sales;
L.
Sales and rental of motorized vehicles, except within an enclosed structure;
M.
Solid waste management;
N.
Recycling uses;
O.
Towing services;
P.
Principal use vehicle repair (major or minor);
Q.
Wholesale showroom;
R.
Warehouse; and
S.
Park and ride facility.
(Ord. 125558, § 49, 2018; Ord. 125267, § 35, 2017; Ord. 122311, § 74, 2006; Ord. 122043 § 2, 2006; Ord. 121245 § 1, 2003; Ord. 120609, § 15, 2001; Ord. 120452, § 5, 2001.)
Residential uses are permitted outright anywhere in a structure in C zones and NC zones, unless located on a lot in a pedestrian-designated zone, where they are limited to 20 percent of each street-level, principal pedestrian street-facing façade.
(Ord. 123020, § 12, 2009; Ord. 122311, § 76, 2006; Ord. 120452, § 5, 2001.)
Within the station area overlay districts shown in subsection 23.61.014.A, uses listed in subsection 23.61.014.B may be expanded or extended by an amount of gross floor area not to exceed 20 percent of the existing gross floor area of the use, provided that this exception may be applied only once on a lot.
A.
The provisions of this Section 23.61.014 apply to the following station area overlay districts:
1.
Rainier Beach;
2.
Othello;
3.
Columbia City; and
4.
Mount Baker.
B.
The provisions of this Section 23.61.014 apply to the following nonconforming uses:
1.
Automotive retail sales and services;
2.
General manufacturing;
3.
Heavy commercial services; and
4.
Mini-warehouse and warehouse.
(Ord. 125603, § 62, 2018; Ord. 125267, § 36, 2017; Ord. 122311, § 77, 2006; Ord. No. 122043, § 3, 2006; Ord. 120452, § 5, 2001.)
A.
The Director may recommend that the Council approve a development agreement pursuant to Chapter 36.70B RCW for real property within the Station Area Overlay District.
B.
The Director's recommendation shall be informed by a coordinated development plan or urban design framework that the Director has developed through a community involvement process.
C.
The Director may recommend a development agreement in the following Station Area Overlay Districts:
1.
Capitol Hill Station Area Overlay District.
a.
The proposed development agreement shall be for the development of real property that:
1)
Is owned by or under the control of a regional transit authority authorized under Chapter 81.112 RCW for the purpose of developing a light rail transit station; and
2)
Is contiguous or is bisected only by streets, alleys, or other public rights of way.
b.
The proposed development agreement may set forth development standards that vary from otherwise applicable development regulations, subject to the following limitations:
1)
Any additional structure height allowed may not exceed 85 feet, except, where the underlying zone designation is Neighborhood Commercial, structures may exceed 85 feet as provided for in subsection 23.47A.012.D;
2)
Uses prohibited in the underlying zone shall not be permitted;
3)
FAR requirements may be varied for an individual lot, however, the total FAR as calculated for all lots under the proposed development agreement shall not exceed six;
4)
Variations of Green Factor requirements for an individual lot shall not result in a Green Factor ratio for the aggregated lots that is less than the ratio that would result from imposition of otherwise applicable Green Factor requirements to all individual lots; and
5)
The provisions of Chapter 23.41 shall apply to development proposals within the scope of the development agreement, except that the recommendation of the Design Review Board shall be consistent with the development agreement, and if there is a conflict between a Design Review Board recommendation and the terms of the development agreement, the latter shall prevail.
D.
The Director shall prepare a written report on a proposed development agreement. The Director shall submit the report and proposed development agreement to the Council after any applicable SEPA appeal period has lapsed without an appeal being initiated or, if a SEPA appeal is timely initiated, after the Hearing Examiner issues a decision affirming the Director's compliance with SEPA. The report shall include:
1.
An evaluation of the proposed development agreement's consistency with any applicable coordinated development plan or urban design framework that the Director has developed through a community involvement process and any applicable Comprehensive Plan goals and policies;
2.
Proposed development standards for the site; and
3.
The Director's recommendation.
E.
The Council shall hold a public hearing on the proposed development agreement. Notice of the hearing shall be provided at least 30 days prior to the hearing by inclusion in the Land Use Information Bulletin.
F.
If the Council determines to approve a proposed development agreement, the Council may:
1.
Set forth development standards that vary from otherwise applicable development regulations, subject to any applicable limitations in subsection 23.61.016.C; and
2.
Set forth other provisions, unrelated to development standards, that the Council deems appropriate.
G.
After its approval by the Council and after all parties to the development agreement approve and execute it, the City Clerk shall record the development agreement in the real property records of King County.
H.
Nothing in this Section 23.61.016 limits the Council's authority to enter into a development agreement authorized by Chapter 36.70B RCW in situations other than those described in subsection 23.61.016.C.
(Ord. 123711, § 1, 2011.)
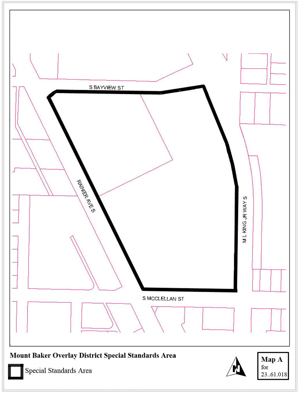
A.
Development within the area described in Map A for Section 23.61.018 shall meet the following standards:
1.
Maximum lot coverage for structures and surface parking areas shall be 80 percent of the lot area.
2.
A continuous open space corridor interior to the site shall extend across the area described in Map A for Section 23.61.018 to connect at least three of the four surrounding streets: Rainier Avenue South, South Bayview Street, Martin Luther King Jr Way South, and South McClellan Street.
a.
The required internal corridor shall have a minimum width of 60 feet.
b.
The point at which the corridor intersects each street shall be located no closer than 150 feet to any street intersection.
c.
The corridor shall not contain any structures containing any floor area and shall be open from the ground to the sky, although landscaping, transparent weather protection overhangs, balconies not more than 5 feet in depth, temporary or permanent seating and tables, artwork, or other similar features shall be allowed.
d.
The corridor shall not contain any physical barriers or grade changes that would prevent pedestrian access through the site except as necessary to limit public access consistent with subsection 23.61.018.A.2.e.
e.
The corridor shall not be required to be open to the public based on the requirements of this subsection 23.61.018.A.2; however, the corridor may be used to meet the requirements for obtaining extra floor area pursuant to Section 23.58A.040 if it is open to the public and meets the requirements of Chapter 23.58A for a mid-block corridor.
f.
Driveways providing access to parking or passage through the site are permitted within the internal corridor, but shall be limited in width to a maximum of one lane in each direction, excluding parking areas. Parking is allowed within the internal corridors, except that the width of the driveway and parking areas combined may not exceed more than 60 percent of the width of the corridor. Portions of the corridor with driveways or parking shall not be used to meet the requirements for obtaining extra floor area pursuant to Section 23.58A.040.
g.
The corridor shall include at least one 6-foot wide sidewalk connecting the adjacent streets. Where a driveway is provided within the corridor, the corridor shall include at least 6-foot wide sidewalks along both sides of the driveway.
h.
The Director may as a Type I decision, modify the standards in subsection 23.61.018.A.2 as follows:
1)
if less than all of the area described in Map A for 23.61.018 is proposed for development, the Director may allow less than three of the streets listed in subsection 23.61.018.A.2 to be connected if the applicant connects as many streets as possible and submits a plan demonstrating how at least three of the listed streets can be connected as the remainder of the area is developed and demonstrates to the satisfaction of the Director that the partial development supports this plan;
2)
the Director may waive the requirements of subsection 23.61.018.A.2 for provision of a corridor if the creation of public streets within the area described in Map A for 23.61.018 provides equal or better internal circulation; or
3)
the Director may modify the standards in subsections 23.61.018.A.2.a through 23.61.018.A.2.d if the applicant demonstrates to the satisfaction of the Director that the modifications are necessary to accommodate existing structures.
Map A for 23.61.018
Mount Baker Overlay District Special Standards Area
B.
Applications for subdivisions within the area described in Map A for 23.61.018 must address the potential location of the open space corridor interior to the site required by subsection 23.61.018.A.2 and shall be designed to facilitate developments that can comply with subsection 23.61.018.A.2.
(Ord. 124513, § 10, 2014)
61 - STATION AREA OVERLAY DISTRICT
The purpose and intent of this chapter is to regulate land use and development in a manner that supports transit-oriented development near light rail stations.
(Ord. 120452, § 5, 2001.)
There is hereby established pursuant to Chapter 23.59 of the Seattle Municipal Code, the Station Area Overlay District, as shown on the Official Land Use Map, Chapter 23.32.
(Ord. 120452, § 5, 2001.)
All land located within the Station Area Overlay District is subject to the regulations of the underlying zone unless specifically modified by the provisions of this chapter. In the event of a conflict between the provisions of the Station Area Overlay District and the underlying zone including Pedestrian-Designated Zones, the provisions of this chapter prevail. Where a conflict exists between the provisions of this chapter and the Shoreline Master Program, the provisions of the the Shoreline Master Program prevail.
(Ord. 123020, § 11, 2009; Ord. 122043 § 1, 2006; Ord. 120452, § 5, 2001.)
The following uses are prohibited within an underlying commercial zone as both principal and accessory uses, except as otherwise noted:
A.
Drive-in businesses;
B.
Dry boat storage;
C.
General manufacturing;
D.
Heavy commercial services, except laundry facilities existing as of April 1, 2001;
E.
Sales and rental of large boats;
F.
Vessel repair (major or minor);
G.
Mini-warehouse;
H.
Flexible-use parking garage;
I.
Flexible-use parking surface lot;
J.
Outdoor storage;
K.
Heavy commercial sales;
L.
Sales and rental of motorized vehicles, except within an enclosed structure;
M.
Solid waste management;
N.
Recycling uses;
O.
Towing services;
P.
Principal use vehicle repair (major or minor);
Q.
Wholesale showroom;
R.
Warehouse; and
S.
Park and ride facility.
(Ord. 125558, § 49, 2018; Ord. 125267, § 35, 2017; Ord. 122311, § 74, 2006; Ord. 122043 § 2, 2006; Ord. 121245 § 1, 2003; Ord. 120609, § 15, 2001; Ord. 120452, § 5, 2001.)
Residential uses are permitted outright anywhere in a structure in C zones and NC zones, unless located on a lot in a pedestrian-designated zone, where they are limited to 20 percent of each street-level, principal pedestrian street-facing façade.
(Ord. 123020, § 12, 2009; Ord. 122311, § 76, 2006; Ord. 120452, § 5, 2001.)
Within the station area overlay districts shown in subsection 23.61.014.A, uses listed in subsection 23.61.014.B may be expanded or extended by an amount of gross floor area not to exceed 20 percent of the existing gross floor area of the use, provided that this exception may be applied only once on a lot.
A.
The provisions of this Section 23.61.014 apply to the following station area overlay districts:
1.
Rainier Beach;
2.
Othello;
3.
Columbia City; and
4.
Mount Baker.
B.
The provisions of this Section 23.61.014 apply to the following nonconforming uses:
1.
Automotive retail sales and services;
2.
General manufacturing;
3.
Heavy commercial services; and
4.
Mini-warehouse and warehouse.
(Ord. 125603, § 62, 2018; Ord. 125267, § 36, 2017; Ord. 122311, § 77, 2006; Ord. No. 122043, § 3, 2006; Ord. 120452, § 5, 2001.)
A.
The Director may recommend that the Council approve a development agreement pursuant to Chapter 36.70B RCW for real property within the Station Area Overlay District.
B.
The Director's recommendation shall be informed by a coordinated development plan or urban design framework that the Director has developed through a community involvement process.
C.
The Director may recommend a development agreement in the following Station Area Overlay Districts:
1.
Capitol Hill Station Area Overlay District.
a.
The proposed development agreement shall be for the development of real property that:
1)
Is owned by or under the control of a regional transit authority authorized under Chapter 81.112 RCW for the purpose of developing a light rail transit station; and
2)
Is contiguous or is bisected only by streets, alleys, or other public rights of way.
b.
The proposed development agreement may set forth development standards that vary from otherwise applicable development regulations, subject to the following limitations:
1)
Any additional structure height allowed may not exceed 85 feet, except, where the underlying zone designation is Neighborhood Commercial, structures may exceed 85 feet as provided for in subsection 23.47A.012.D;
2)
Uses prohibited in the underlying zone shall not be permitted;
3)
FAR requirements may be varied for an individual lot, however, the total FAR as calculated for all lots under the proposed development agreement shall not exceed six;
4)
Variations of Green Factor requirements for an individual lot shall not result in a Green Factor ratio for the aggregated lots that is less than the ratio that would result from imposition of otherwise applicable Green Factor requirements to all individual lots; and
5)
The provisions of Chapter 23.41 shall apply to development proposals within the scope of the development agreement, except that the recommendation of the Design Review Board shall be consistent with the development agreement, and if there is a conflict between a Design Review Board recommendation and the terms of the development agreement, the latter shall prevail.
D.
The Director shall prepare a written report on a proposed development agreement. The Director shall submit the report and proposed development agreement to the Council after any applicable SEPA appeal period has lapsed without an appeal being initiated or, if a SEPA appeal is timely initiated, after the Hearing Examiner issues a decision affirming the Director's compliance with SEPA. The report shall include:
1.
An evaluation of the proposed development agreement's consistency with any applicable coordinated development plan or urban design framework that the Director has developed through a community involvement process and any applicable Comprehensive Plan goals and policies;
2.
Proposed development standards for the site; and
3.
The Director's recommendation.
E.
The Council shall hold a public hearing on the proposed development agreement. Notice of the hearing shall be provided at least 30 days prior to the hearing by inclusion in the Land Use Information Bulletin.
F.
If the Council determines to approve a proposed development agreement, the Council may:
1.
Set forth development standards that vary from otherwise applicable development regulations, subject to any applicable limitations in subsection 23.61.016.C; and
2.
Set forth other provisions, unrelated to development standards, that the Council deems appropriate.
G.
After its approval by the Council and after all parties to the development agreement approve and execute it, the City Clerk shall record the development agreement in the real property records of King County.
H.
Nothing in this Section 23.61.016 limits the Council's authority to enter into a development agreement authorized by Chapter 36.70B RCW in situations other than those described in subsection 23.61.016.C.
(Ord. 123711, § 1, 2011.)
A.
Development within the area described in Map A for Section 23.61.018 shall meet the following standards:
1.
Maximum lot coverage for structures and surface parking areas shall be 80 percent of the lot area.
2.
A continuous open space corridor interior to the site shall extend across the area described in Map A for Section 23.61.018 to connect at least three of the four surrounding streets: Rainier Avenue South, South Bayview Street, Martin Luther King Jr Way South, and South McClellan Street.
a.
The required internal corridor shall have a minimum width of 60 feet.
b.
The point at which the corridor intersects each street shall be located no closer than 150 feet to any street intersection.
c.
The corridor shall not contain any structures containing any floor area and shall be open from the ground to the sky, although landscaping, transparent weather protection overhangs, balconies not more than 5 feet in depth, temporary or permanent seating and tables, artwork, or other similar features shall be allowed.
d.
The corridor shall not contain any physical barriers or grade changes that would prevent pedestrian access through the site except as necessary to limit public access consistent with subsection 23.61.018.A.2.e.
e.
The corridor shall not be required to be open to the public based on the requirements of this subsection 23.61.018.A.2; however, the corridor may be used to meet the requirements for obtaining extra floor area pursuant to Section 23.58A.040 if it is open to the public and meets the requirements of Chapter 23.58A for a mid-block corridor.
f.
Driveways providing access to parking or passage through the site are permitted within the internal corridor, but shall be limited in width to a maximum of one lane in each direction, excluding parking areas. Parking is allowed within the internal corridors, except that the width of the driveway and parking areas combined may not exceed more than 60 percent of the width of the corridor. Portions of the corridor with driveways or parking shall not be used to meet the requirements for obtaining extra floor area pursuant to Section 23.58A.040.
g.
The corridor shall include at least one 6-foot wide sidewalk connecting the adjacent streets. Where a driveway is provided within the corridor, the corridor shall include at least 6-foot wide sidewalks along both sides of the driveway.
h.
The Director may as a Type I decision, modify the standards in subsection 23.61.018.A.2 as follows:
1)
if less than all of the area described in Map A for 23.61.018 is proposed for development, the Director may allow less than three of the streets listed in subsection 23.61.018.A.2 to be connected if the applicant connects as many streets as possible and submits a plan demonstrating how at least three of the listed streets can be connected as the remainder of the area is developed and demonstrates to the satisfaction of the Director that the partial development supports this plan;
2)
the Director may waive the requirements of subsection 23.61.018.A.2 for provision of a corridor if the creation of public streets within the area described in Map A for 23.61.018 provides equal or better internal circulation; or
3)
the Director may modify the standards in subsections 23.61.018.A.2.a through 23.61.018.A.2.d if the applicant demonstrates to the satisfaction of the Director that the modifications are necessary to accommodate existing structures.
Map A for 23.61.018
Mount Baker Overlay District Special Standards Area
B.
Applications for subdivisions within the area described in Map A for 23.61.018 must address the potential location of the open space corridor interior to the site required by subsection 23.61.018.A.2 and shall be designed to facilitate developments that can comply with subsection 23.61.018.A.2.
(Ord. 124513, § 10, 2014)