40.040.- FENCE, WALL AND HEDGE REGULATIONS
Sections:
All fences, walls and hedges shall comply with the following requirements which relate to height, location and design.
(Code 1992, § 16.40.040.1)
As used in this section:
Decorative as applied to walls means that a wall is masonry with a stucco finish; has a finish of natural materials, such as brick, stone, or glass block; or has a finish which is accepted for use in the industry and approved by the POD.
Decorative as applied to fences means that a fence is made of PVC fence material, wrought iron, or aluminum pickets, or is a painted or stained shadow-box or board-on-board type fence.
Hedge means a continuous arrangement of three or more shrubs which are planted and maintained to create an open space less than two feet wide by six feet high between each shrub.
Open means and includes all fence and wall sections which have opacity of 25 percent or less, excluding vertical support posts.
Section is a segment of fence including vertical pickets, any horizontal rails, and one supporting post, except that a post with horizontal dimensions of four inches by four inches or less shall be excluded from the calculations to determine opacity. For a post having dimensions greater than four inches on a side, that part of the dimension greater than four inches shall be included in the calculations to determine opacity.
(Code 1992, § 16.40.040.2)
The following charts provide specific regulations and design and other guidelines.
2.
Waterfront yards (all uses).
| 3. Other Uses | ||||
|---|---|---|---|---|
|
Front Yards -
Major Streets |
Front Yards -
All other streets | Side Yards, Street Side Yards, and Rear Yards | Street Side - Abutting Neighbor's Front Yard | |
| Maximum Height |
- 4 feet for a fence or wall of any style without landscaping
- 6 feet for a fence or wall of any style landscaped in accordance with the Code - 6 feet for a hedge |
- 4 feet for fence or wall of any style without landscaping
- 6 feet for a fence or wall of any style landscaped in accordance with the Code - 6 feet for a hedge |
- 8 feet for a fence or wall of any style or a hedge in the side and rear yards
- 6 feet for a fence or wall of any style without landscaping in street side yards - 8 feet for a fence or wall landscaped in accordance with the Code in street side yards - 8 feet for a hedge in street side yards |
- 4 feet for fence or wall of any style without landscaping
- 6 feet for a fence or wall of any style landscaped in accordance with the Code - 6 feet for a hedge |
| 4. Industrial Uses (Properties zoned IT and IS) | ||||
|---|---|---|---|---|
|
Front Yards -
Major Streets |
Front Yards -
All other streets | Side Yards, Street Side Yards, and Rear Yards | Street Side - Abutting Neighbor's Front Yard | |
| Maximum Height IT-zoned properties may be exempt from the requirement to install landscaping pursuant to the IT district regulations. |
- 4 feet for fence or wall of any style without landscaping
- 10 feet for a fence or wall of any style landscaped in accordance with the Code* - 10 feet for a hedge |
- 4 feet for fence or wall of any style without landscaping
- 10 feet for a fence or wall of any style landscaped in accordance with the Code* - 10 feet for a hedge |
- 10 feet for a fence or wall of any style or a hedge in the side and rear yards
- 6 feet for fence or wall of any style without landscaping in street side yards - 10 feet for a fence or wall of any style landscaped in accordance with the Code in street side yards* - 10 feet for a hedge in street side yards |
- 4 feet for fence or wall of any style without landscaping
- 10 feet for a fence or wall of any style landscaped in accordance with the Code* - 10 feet for a hedge |
| 5. DESIGN AND OTHER RELATED REGULATIONS | |
|---|---|
| D. STANDARDS FOR MEASUREMENT | 1. The height of a fence, wall or hedge shall be measured from 1) the existing natural grade upon which the structure to be measured sits, or 2) the finished grade at the time of subdivision platting. Measurement shall be taken from the abutting property. Where the existing grade of one lot has been modified due to FEMA regulations, measurement shall be made from the mid-point of the existing grade and the FEMA required minimum grade. Where the existing grade of two or more adjacent lots has been modified due to FEMA regulations, measurement shall be made from the new finished grade. |
| 2. Except as provided in Section B of this chart, the addition of any material (e.g. screening, flags, lattice, or planters) to a fence or wall which is visible above the fence or wall shall be considered part the fence or wall when measuring overall height. | |
| E. LOCATIONAL CRITERIA | 1. Hedge regulations shall only apply to hedges within five (5) feet of a property line of a residential use and within ten (10) feet of a property line for all other uses. This provision shall not include waterfront yards. |
| 2. In waterfront yards, a hedge shall not exceed three (3) feet in height within a primary view corridor consisting of the first five (5) feet measured from the waterfront boundary line. The primary view corridor shall additionally include portions of the waterfront yard, on each side of the waterfront yard, located as follows: From a rear corner, measure along the waterfront boundary line for a distance equal to one-half of the depth of the waterfront yard to a point. From that point, extend a straight line to a point where the waterfront setback line intersects the nearer side boundary line, and from that intersection, return to the corner. In the remainder of the waterfront yard there is no limit on the height of hedges. | |
| 3. Fence and wall heights shall apply in all required yards. Fences and walls shall not exceed the maximum building height within the buildable area. | |
| 4. In the DC and CCT-2 zoning districts, no fence or wall shall be installed within three (3) feet of any wall on an adjoining property if such wall has one or more windows or doors, and no fence or wall shall impede required emergency egress from a window or door on any property. | |
| 5. For Through-Lots and other irregular lots, at least one yard shall be considered to be a rear yard for the purpose of allowing fences, walls or hedges. The yard which shall be allowed a rear yard fence, wall, or hedge shall be determined based upon the following order of factors: a) the predominant location of rear yards of other lots in the block, b) the location of the front entry into the house on the subject lot, and c) the relationship of the yard to other yards on abutting properties. | |
| 6. No fence, wall, or hedge shall be installed so as to obstruct passage through a vehicular use area (parking lot, driveway, loading zone, etc.), sidewalk, or right-of-way located on the same property or an adjoining property and existing at the time the fence, wall or hedge is installed; provided, that this provision shall not be deemed to create an obligation on the part of a property owner to give an adjoining property owner a right of ingress-egress where none exists by express agreement or through historic usage or where such obligation has not been imposed by the City as a condition of approval of a development order. | |
| 7. Fences and walls over four (4) feet in height which are adjacent to a sidewalk shall be setback a minimum of two (2) feet from the edge of the sidewalk, except for fences and walls within DC and CCT-2 zones. | |
| 8. Fences, walls, and hedges shall comply with visibility at intersection and sight triangle requirements. | |
| 9. No fence or wall shall be situated along any alley so as to obstruct the use of the alley by the public or to obstruct access to accessory structures (e.g. garages) situated adjacent to alleys. | |
| 10. No fence or wall shall be allowed on or permitted to overhang a right-of-way. | |
| 11. Hedges are allowed in the right-of-way so long as no portion of the hedge is within four feet of the curb, or edge of pavement if there is no curb, within one foot of the sidewalk, or higher than four feet, and the hedge complies with the Visibility at Intersections Section. | |
| F. PERMITTED AND MAINTENANCE REQUIREMENTS | 1. All walls and fences shall be maintained in a sturdy upright position, in good condition, free from mildew or rot that has substantially penetrated the depth of the fence, free from any broken parts, slats or boards, and with no parts, slats or boards missing. |
| 2. The owner or occupant of a property where a fence, wall or hedge is located is responsible for maintenance of both sides. Nothing in this section shall be construed to grant any right of entry to an adjoining property which is under separate ownership for the purpose of maintaining a fence, wall or hedge. Nothing in this section shall be construed as creating an obligation to maintain a fence, wall or hedge if access to an adjoining property is necessary for maintenance work and the owner or occupant of the adjoining property fails or refuses to grant a right of entry to the owner of the fence, or occupant of the property on which the fence is located, for such work at reasonable times despite a request for such right of entry. | |
| G. REQUIRED LANDSCAPING | Where "landscaping" is required by this section, such landscaping shall be in accordance with the Landscaping and Irrigation Section. |
| H. GRANDFATHERED STATUS |
All fences and walls which do not comply with the regulations of this section, whether
lawful when erected or otherwise, shall be brought into compliance at such time as
more than 50 percent of the surface area of the fence or wall within any one yard
is replaced. All fences and walls constructed on or after September 30, 2007 shall
comply with the regulations of this section at the time they are constructed.
All existing hedges which do not comply with the regulations of this section shall not be deemed grandfathered, but shall be brought into compliance not later than September 30, 2007. |
(Ord. No. 985-G, §§ 45—47, 7-15-2010; Ord. No. 1029-G, § 30, 9-8-2011; Ord. No. 123-H, § 3, 8-28-2014; Ord. No. 110-H, § 1, 10-16-2014; Ord. No. 166-H, § 5, 5-21-2015; Ord. No. 203-H, §§ 12—14, 11-23-2015; Ord. No. 287-H, §§ 11, 12, 7-20-2017; Ord. No. 611-H, § 19, 7-10-2025)
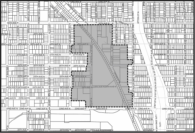
Illustration 1
IT-ZONED PROPERTIES
EXEMPT FROM LANDSCAPING REQUIREMENT
(Code 1992, § 16.40.040.3; Ord. No. 985-G, §§ 45—47, 7-15-2010)
40.040.- FENCE, WALL AND HEDGE REGULATIONS
Sections:
All fences, walls and hedges shall comply with the following requirements which relate to height, location and design.
(Code 1992, § 16.40.040.1)
As used in this section:
Decorative as applied to walls means that a wall is masonry with a stucco finish; has a finish of natural materials, such as brick, stone, or glass block; or has a finish which is accepted for use in the industry and approved by the POD.
Decorative as applied to fences means that a fence is made of PVC fence material, wrought iron, or aluminum pickets, or is a painted or stained shadow-box or board-on-board type fence.
Hedge means a continuous arrangement of three or more shrubs which are planted and maintained to create an open space less than two feet wide by six feet high between each shrub.
Open means and includes all fence and wall sections which have opacity of 25 percent or less, excluding vertical support posts.
Section is a segment of fence including vertical pickets, any horizontal rails, and one supporting post, except that a post with horizontal dimensions of four inches by four inches or less shall be excluded from the calculations to determine opacity. For a post having dimensions greater than four inches on a side, that part of the dimension greater than four inches shall be included in the calculations to determine opacity.
(Code 1992, § 16.40.040.2)
The following charts provide specific regulations and design and other guidelines.
2.
Waterfront yards (all uses).
| 3. Other Uses | ||||
|---|---|---|---|---|
|
Front Yards -
Major Streets |
Front Yards -
All other streets | Side Yards, Street Side Yards, and Rear Yards | Street Side - Abutting Neighbor's Front Yard | |
| Maximum Height |
- 4 feet for a fence or wall of any style without landscaping
- 6 feet for a fence or wall of any style landscaped in accordance with the Code - 6 feet for a hedge |
- 4 feet for fence or wall of any style without landscaping
- 6 feet for a fence or wall of any style landscaped in accordance with the Code - 6 feet for a hedge |
- 8 feet for a fence or wall of any style or a hedge in the side and rear yards
- 6 feet for a fence or wall of any style without landscaping in street side yards - 8 feet for a fence or wall landscaped in accordance with the Code in street side yards - 8 feet for a hedge in street side yards |
- 4 feet for fence or wall of any style without landscaping
- 6 feet for a fence or wall of any style landscaped in accordance with the Code - 6 feet for a hedge |
| 4. Industrial Uses (Properties zoned IT and IS) | ||||
|---|---|---|---|---|
|
Front Yards -
Major Streets |
Front Yards -
All other streets | Side Yards, Street Side Yards, and Rear Yards | Street Side - Abutting Neighbor's Front Yard | |
| Maximum Height IT-zoned properties may be exempt from the requirement to install landscaping pursuant to the IT district regulations. |
- 4 feet for fence or wall of any style without landscaping
- 10 feet for a fence or wall of any style landscaped in accordance with the Code* - 10 feet for a hedge |
- 4 feet for fence or wall of any style without landscaping
- 10 feet for a fence or wall of any style landscaped in accordance with the Code* - 10 feet for a hedge |
- 10 feet for a fence or wall of any style or a hedge in the side and rear yards
- 6 feet for fence or wall of any style without landscaping in street side yards - 10 feet for a fence or wall of any style landscaped in accordance with the Code in street side yards* - 10 feet for a hedge in street side yards |
- 4 feet for fence or wall of any style without landscaping
- 10 feet for a fence or wall of any style landscaped in accordance with the Code* - 10 feet for a hedge |
| 5. DESIGN AND OTHER RELATED REGULATIONS | |
|---|---|
| D. STANDARDS FOR MEASUREMENT | 1. The height of a fence, wall or hedge shall be measured from 1) the existing natural grade upon which the structure to be measured sits, or 2) the finished grade at the time of subdivision platting. Measurement shall be taken from the abutting property. Where the existing grade of one lot has been modified due to FEMA regulations, measurement shall be made from the mid-point of the existing grade and the FEMA required minimum grade. Where the existing grade of two or more adjacent lots has been modified due to FEMA regulations, measurement shall be made from the new finished grade. |
| 2. Except as provided in Section B of this chart, the addition of any material (e.g. screening, flags, lattice, or planters) to a fence or wall which is visible above the fence or wall shall be considered part the fence or wall when measuring overall height. | |
| E. LOCATIONAL CRITERIA | 1. Hedge regulations shall only apply to hedges within five (5) feet of a property line of a residential use and within ten (10) feet of a property line for all other uses. This provision shall not include waterfront yards. |
| 2. In waterfront yards, a hedge shall not exceed three (3) feet in height within a primary view corridor consisting of the first five (5) feet measured from the waterfront boundary line. The primary view corridor shall additionally include portions of the waterfront yard, on each side of the waterfront yard, located as follows: From a rear corner, measure along the waterfront boundary line for a distance equal to one-half of the depth of the waterfront yard to a point. From that point, extend a straight line to a point where the waterfront setback line intersects the nearer side boundary line, and from that intersection, return to the corner. In the remainder of the waterfront yard there is no limit on the height of hedges. | |
| 3. Fence and wall heights shall apply in all required yards. Fences and walls shall not exceed the maximum building height within the buildable area. | |
| 4. In the DC and CCT-2 zoning districts, no fence or wall shall be installed within three (3) feet of any wall on an adjoining property if such wall has one or more windows or doors, and no fence or wall shall impede required emergency egress from a window or door on any property. | |
| 5. For Through-Lots and other irregular lots, at least one yard shall be considered to be a rear yard for the purpose of allowing fences, walls or hedges. The yard which shall be allowed a rear yard fence, wall, or hedge shall be determined based upon the following order of factors: a) the predominant location of rear yards of other lots in the block, b) the location of the front entry into the house on the subject lot, and c) the relationship of the yard to other yards on abutting properties. | |
| 6. No fence, wall, or hedge shall be installed so as to obstruct passage through a vehicular use area (parking lot, driveway, loading zone, etc.), sidewalk, or right-of-way located on the same property or an adjoining property and existing at the time the fence, wall or hedge is installed; provided, that this provision shall not be deemed to create an obligation on the part of a property owner to give an adjoining property owner a right of ingress-egress where none exists by express agreement or through historic usage or where such obligation has not been imposed by the City as a condition of approval of a development order. | |
| 7. Fences and walls over four (4) feet in height which are adjacent to a sidewalk shall be setback a minimum of two (2) feet from the edge of the sidewalk, except for fences and walls within DC and CCT-2 zones. | |
| 8. Fences, walls, and hedges shall comply with visibility at intersection and sight triangle requirements. | |
| 9. No fence or wall shall be situated along any alley so as to obstruct the use of the alley by the public or to obstruct access to accessory structures (e.g. garages) situated adjacent to alleys. | |
| 10. No fence or wall shall be allowed on or permitted to overhang a right-of-way. | |
| 11. Hedges are allowed in the right-of-way so long as no portion of the hedge is within four feet of the curb, or edge of pavement if there is no curb, within one foot of the sidewalk, or higher than four feet, and the hedge complies with the Visibility at Intersections Section. | |
| F. PERMITTED AND MAINTENANCE REQUIREMENTS | 1. All walls and fences shall be maintained in a sturdy upright position, in good condition, free from mildew or rot that has substantially penetrated the depth of the fence, free from any broken parts, slats or boards, and with no parts, slats or boards missing. |
| 2. The owner or occupant of a property where a fence, wall or hedge is located is responsible for maintenance of both sides. Nothing in this section shall be construed to grant any right of entry to an adjoining property which is under separate ownership for the purpose of maintaining a fence, wall or hedge. Nothing in this section shall be construed as creating an obligation to maintain a fence, wall or hedge if access to an adjoining property is necessary for maintenance work and the owner or occupant of the adjoining property fails or refuses to grant a right of entry to the owner of the fence, or occupant of the property on which the fence is located, for such work at reasonable times despite a request for such right of entry. | |
| G. REQUIRED LANDSCAPING | Where "landscaping" is required by this section, such landscaping shall be in accordance with the Landscaping and Irrigation Section. |
| H. GRANDFATHERED STATUS |
All fences and walls which do not comply with the regulations of this section, whether
lawful when erected or otherwise, shall be brought into compliance at such time as
more than 50 percent of the surface area of the fence or wall within any one yard
is replaced. All fences and walls constructed on or after September 30, 2007 shall
comply with the regulations of this section at the time they are constructed.
All existing hedges which do not comply with the regulations of this section shall not be deemed grandfathered, but shall be brought into compliance not later than September 30, 2007. |
(Ord. No. 985-G, §§ 45—47, 7-15-2010; Ord. No. 1029-G, § 30, 9-8-2011; Ord. No. 123-H, § 3, 8-28-2014; Ord. No. 110-H, § 1, 10-16-2014; Ord. No. 166-H, § 5, 5-21-2015; Ord. No. 203-H, §§ 12—14, 11-23-2015; Ord. No. 287-H, §§ 11, 12, 7-20-2017; Ord. No. 611-H, § 19, 7-10-2025)
Illustration 1
IT-ZONED PROPERTIES
EXEMPT FROM LANDSCAPING REQUIREMENT
(Code 1992, § 16.40.040.3; Ord. No. 985-G, §§ 45—47, 7-15-2010)

